バレンタイン🍫メバル今日も爆釣!
4連
良型のみで4連!!
出ましたBIGサイズ👍🏻
良型Wです
最大6連でした!
良く食わせてましたね😄
入れ食いタイムあり!
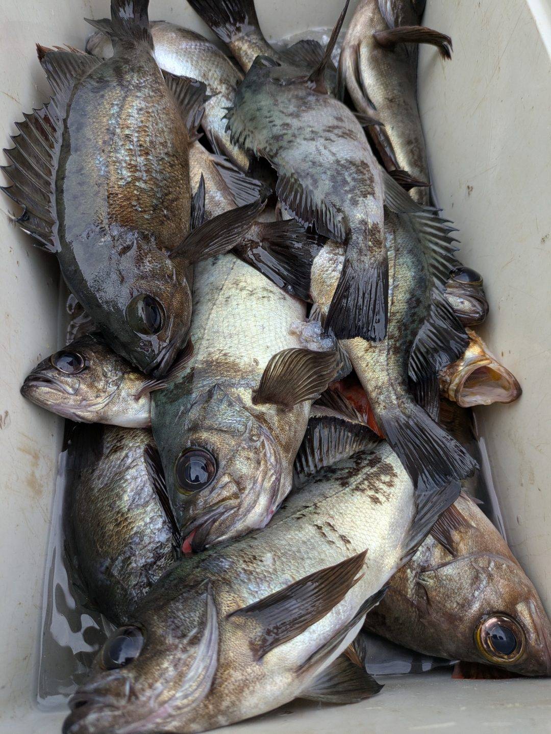
良型まみれ
平均が良い🙆♀️
型が良い!!
型も最高!
アベレージ20cmから25cm
反応も山盛りでした‼️
数は怒涛の70匹越えの方が2名、50匹越えの方が2~3人ほど!!
底付近での誘いに好反応!!!
面白い釣りが出来ました✌️
オモリは35号のオモリを最低7~8個はご用意ください。
不安な方は10個以上ご用意ください
サビキは黒岩イチオシの鳴門サビキを黒岩フィッシングにて販売しております!
今年はメバル最高👍👍
来週も土日2隻メバルサビキ出船します!まだ空きあります!
これからメバルを専門的に出船いたします!
メバルは黒岩にお任せ下さい(^^)
乗船ありがとうございました😊
また行きましょう!
































