HOME
釣果
予定
宇和海営業所
遊漁のご案内
施設のご案内
船のご案内
釣果
トップページ
>
釣果
>
カワハギ釣果
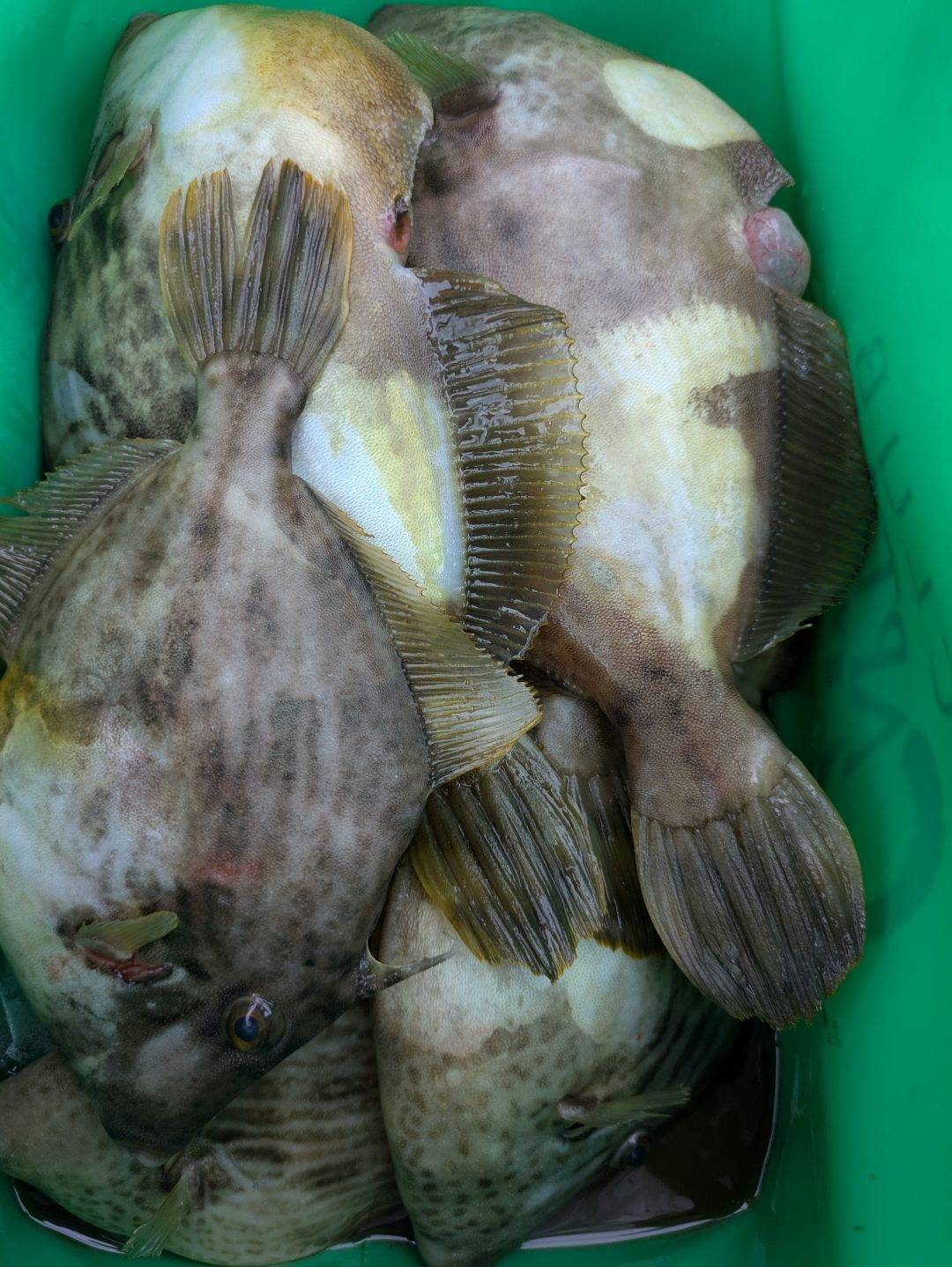
カワハギ釣果
2025年10月04日
カテゴリ -
釣果
良い型が当たってくれました。
尺近いのもいくつか❤
肝も入ってますよー
皆様ありがとうございました!
また、よろしくお願いします
« アオリイカ爆釣🦑🦑
アオリイカ調査 »
ご予約・お問い合わせはこちら