blog

  • 乗り合い募集中! お知らせ
    2026年1月20日

    乗り合い募集中!

    出船出来そうな予報です!   メバルは風裏等でやれますので、お時間ある方は是非お問い合わせ…

  • 釣果
    2026年1月20日

    1/20ジギング釣果報告

    反応はモリモリ出てました! 反応は!笑笑   ナブラもボッコボコ出てました!  …

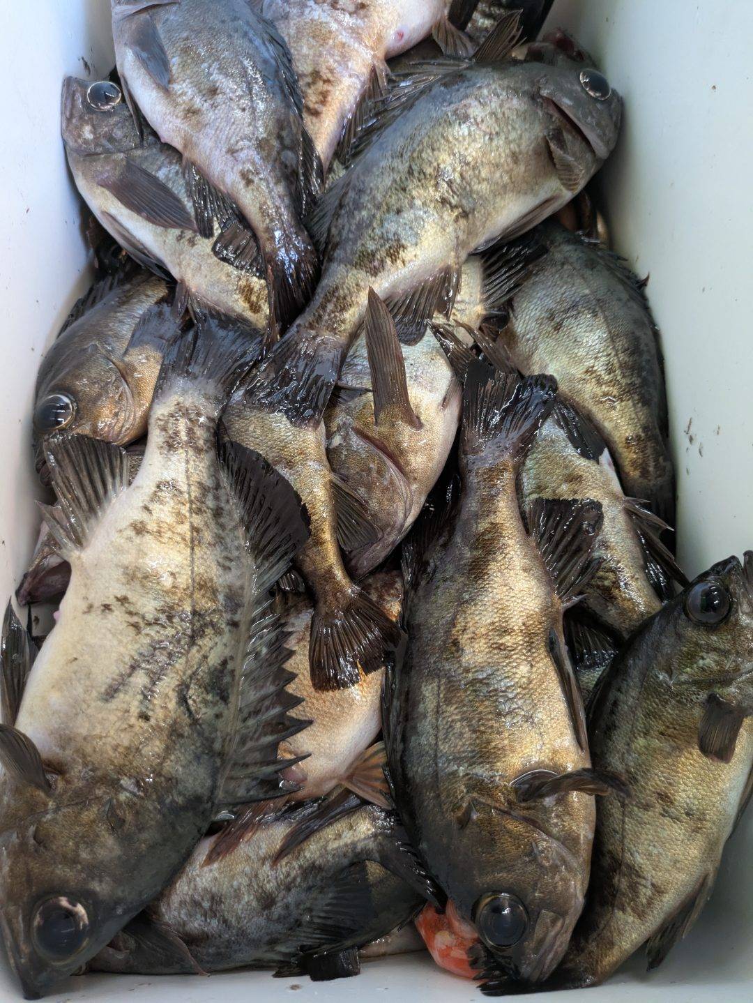
  • 1/18メバル便釣果報告 釣果
    2026年1月19日

    1/18メバル便釣果報告

    平均40匹程でした。 釣れてない方でも30匹程はGET   サイズはこれからデカイのが食い…

  • ジギング募集中‼️ お知らせ
    2026年1月19日

    ジギング募集中‼️

    シャクりたい方ご予約お待ちしております!!   メーター鰤目標にバリバリシャクりたい方に&…

  • 豊後空きあり! お知らせ
    2026年1月18日

    豊後空きあり!

     

  • 終わりじゃない 釣果
    2026年1月18日

    終わりじゃない

    宇和海営業所 豊後水道タチウオ便の状況です 年明けは、食いが悪い状況でしたが、最近は、釣果がかなり上…

  • 1/17メバル便超大爆釣‼️ 釣果
    2026年1月18日

    1/17メバル便超大爆釣‼️

    爆発しました‼️     こんな日 あるの?ってぐら…

  • 釣果
    2026年1月14日

    メバルサビキ便爆釣にて開幕❗

    平均30匹竿頭50匹越え   最高のスタートを 切る事が出来ました‼&#xf…

  • お知らせ
    2026年1月12日

    時化ばっかり!

    時化を利用してドック‼️   改造&ペンキ塗りです ミヨシはロ…

  • 豊後タチウオ 釣果
    2026年1月11日

    豊後タチウオ

    宇和海営業所 豊後水道タチウオ便 年明けから少し不調でしたが、一昨日位から食いが良くなってきておりま…

  • 番外編
    2026年1月8日

    KUROIWA5 ドック&改造中

    左前にロッドホルダー増設しました!   快適😊   ついでに白ペ…

  • お知らせ
    2026年1月5日

    太刀魚仕掛け‼️松山のです

    沢山のお問い合わせありがとうございます。   松山沖太刀魚仕掛け紹介 テンヤ釣り PE1号…

  • 1/4豊後水道‼️太刀魚便釣果 釣果
    2026年1月4日

    1/4豊後水道‼️太刀魚便釣果

    当たりは 少なめの時間がありましたが、     豊後水道らしい BIGサイズが上…

  • 1/3ジギング釣果報告 釣果
    2026年1月3日

    1/3ジギング釣果報告

    ヤズ~メジロでした❗   潮が大きくなり前回より上向き傾向にあります!! &…

  • 豊後タチウオ募集 お知らせ
    2026年1月2日

    豊後タチウオ募集

    🔥 豊後水道タチウオ 🔥 1月前半の空き状況 1/5 &#x1f44…

  • お知らせ
    2026年1月2日

    メバルサビキ便募集のお知らせ

    1月10日よりメバルサビキ便 乗り合い&チャーター便募集いたします!!     …

  • 謹賀新年 お知らせ
    2026年1月1日

    謹賀新年

    🎍 新年のご挨拶 🎍 新年あけましておめでとうございます。 旧年中は…

  • 年末挨拶 お知らせ
    2025年12月31日

    年末挨拶

    本年も黒岩フィッシングサービスをご利用いただき、誠にありがとうございました。 多くのお客様と海の上で…

  • 釣果
    2025年12月30日

    12/30ジギング釣果報告です

    渋い中最後まで 頑張って頂きました!!   釣果的には撃沈ですが丸々肥えた鰆が釣れてくれた…

  • 12/28太刀魚松山営業所 釣果
    2025年12月29日

    12/28太刀魚松山営業所

    大船団の中から出てきました!!   F6のドラゴン✨✨ &nb…

instagram

Instagram でフォロー

schedule

   

youtube

イベント

ご予約・お問い合わせはこちら